El Instituto de Meteorología emitió a las 3:00 de la tarde de hoy el Aviso de Ciclón Tropical No. 15, que por su importancia transmitimos íntegramente:
Aviso de Ciclón tropical No. 15
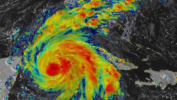
Durante las primeras horas de la tarde Ian ha ganado en organización e intensidad y en las imágenes del satélite meteorológico y los radares cubanos se puede apreciar las bandas más externas del sistema cruzando sobre gran parte del país, principalmente hacia el sur del territorio.
Hasta las 2:00 pm de esta tarde se han recibido reportes de la ocurrencia de chubascos y lluvias, con vientos fuertes en racha que han llegado hasta los 66 kilómetros por hora en la estación meteorológica ubicada en Batabanó, provincia Mayabeque.
Los vientos máximos del sistema han continuado incrementándose hasta 135 kilómetros por hora con rachas superiores, por lo que se mantiene como un huracán Categoría 1 en la escala Saffir-Simpson. Mientras que la presión mínima central ha descendido hasta los 976 hectoPascal. El huracán Ian se mueve en un rumbo próximo al norte noroeste a razón de 20 kilómetros por hora.
A las tres de la tarde de hoy su región central se estimó en los 19.9 grados de latitud Norte y 83.1 grados de longitud Oeste, posición que la sitúa a 175 kilómetros al sur de Carapachibey, Isla de la Juventud y a unos 295 kilómetros al sudeste del cabo de San Antonio, extremo occidental de Pinar del Río.
En las próximas 6 a 12 horas, Ian continuará aproximándose a la Isla de la Juventud y el sur de Pinar del Río, transitando sobre una región con condiciones favorables para su rápido fortalecimiento.
Se han mantenido los nublados asociados a las bandas externas de Ian con chubascos y lluvias a intervalos afectando gran parte del país, los que se incrementarán en horas de la tarde y noche y serán fuertes e intensos en algunas localidades de la mitad occidental de Cuba.
Con la proximidad de Ian al occidente de Cuba, aumentará la velocidad de los vientos desde la tarde y alcanzarán fuerza de tormenta tropical, con velocidades entre 65 y 80 kilómetros por hora, con rachas superiores, comenzando por el sur de la Isla de la Juventud y desde la noche en el occidente. En la madrugada alcanzarán fuerza de huracán en Pinar del Río.
Se están produciendo fuertes marejadas en el sur de la Isla de la Juventud y marejadas en la costa sur de Pinar del Río, que se incrementará a fuertes marejadas con alturas de olas entre 5 y 7 metros, excepto en el golfo de Batabanó donde la altura de las olas estará entre 1.5 y 2.5 metros. Se mantendrán las inundaciones costeras en el sur de la Isla de la Juventud y se iniciarán en la costa sur de Pinar del Río, Artemisa y Mayabeque.
El próximo aviso de ciclón tropical sobre este sistema se emitirá a las seis de la tarde de hoy.
(Tomado de ACN)
Ver además:

![[impreso]](/file/ultimo/ultimaedicion.jpg?1775831432)